Авторизация
 

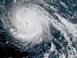
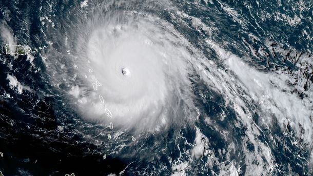
Ураган "Ирма" усилился, во Флориде начата эвакуация

Будьте в курсе – подписывайтесь на наш Telegram-канал Моя Одесса

Ураган "Ирма" усилился, во Флориде начата эвакуацияСтихия достигла максимальной категории опасности.
С островов южного побережья штата Флорида во вторник, 5 сентября, началась эвакуация людей в связи с приближением урагана "Ирма", передает телеканал "112 Украина" со ссылкой на Washington Post.
Сообщается, что в обязательном порядке начата эвакуация туристов с острова Ки, а также всех жителей южного побережья штата.
Пока ураган находится на расстоянии около 2,5 тысячи км от города Ки-Уэст. Он движется на запад со скоростью около 22,5 км/час. Скорость в центре урагана составляет примерно 290 км/час.



Источник: Сегодня

Если вы обнаружили ошибку на этой странице, выделите ее и нажмите Ctrl+Enter.

Теги: штата, побережья, урагана, около, Стихия, южного, эвакуация, достигла, максимальной, категории, опасности, расстоянии, находится, ураган, острова, также, жителей, тысячи, города, Скорость


Оставить комментарий
  • Новости
  • Популярное